< Beirut
Beirut/Street names
Beirut Municipality Sector Maps
The following maps are available on the web site of the city of Beirut. Because the site sometimes goes offline, we keep a copy of the maps here.
- Each map covers a sector within a quarter of the city.
- Street names are available in both French and Arabic.
| Sector number | Quarter | Sector | Map |
|---|---|---|---|
| 11 | Marfaa-Port of Beirut | Nejmeh Square | ![]() |
| 12 | Marfaa-Port of Beirut | Majidiye | ![]() |
| 14 | Marfaa-Port of Beirut | Marfaa-Port of Beirut | ![]() |
| 15 | Marfaa-Port of Beirut | Nouveau Secteur | ![]() |
| 20 | Minet El Hosn | Minet El Hosn | ![]() |
| 21 | Minet El Hosn | Bab Idriss | ![]() |
| 22 | Minet El Hosn | Kantari | ![]() |
| 23 | Zokak El-Blat | Serail | ![]() |
| 24 | Zokak El-Blat | Patriarcat | ![]() |
| 25 | Bachoura | Basta Tahta | ![]() |
| 26 | Bachoura | Bachoura | ![]() |
| 27 | Achrafieh | Université Saint Joseph | ![]() |
| 28 | Saifi | Mar Maroun | ![]() |
| 29 | Saifi | Gemmayze | ![]() |
| 30 | Dar Mreisse | Ain El Mreisse | ![]() |
| 31 | Dar Mreisse | American University of Beirut | ![]() |
| 32 | Ras Beirut | Jounblat -Port of Beirut | ![]() |
| 33 | Ras Beirut | Snoubra | ![]() |
| 34 | Ras Beirut | Hamra | ![]() |
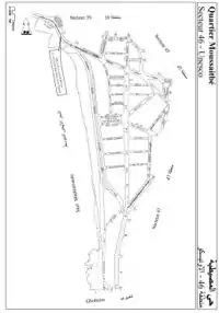
| 35 | Dar Mreisse | Ras Beirut | ![]() |
| 36 | Ras Beirut | Manara - Light House | ![]() |
| 37 | Ras Beirut | Koreitem | ![]() |
| 38 | Ras Beirut | Raoucheh | ![]() |
| 39 | Ras Beirut | Ain El Tine | ![]() |
| 42 | Moussaitbe | Tallet Druze | ![]() |
| 44 | Moussaitbe | Dar Al Fatwa | ![]() |
| 45 | Moussaitbe | Tallet Khayat | ![]() |
| 46 | Moussaitbe | Unesco | ![]() |
| 47 | Moussaitbe | Mar Elias | ![]() |
| 48 | Moussaitbe | Wata | ![]() |
| 49 | Moussaitbe | Moussaitbe | ![]() |
| 50 | Mazraa | Borj Abi Haidar | ![]() |
| 51 | Mazraa | Basta Faouka | ![]() |
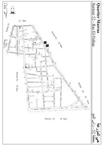
| 52 | Mazraa | Ras El Nabaa | ![]() |
| 53 | Mazraa | Mazraa | ![]() |
| 55 | Mazraa | Malaab | ![]() |
| 56 | Mazraa | Tariq El Jedide | ![]() |
| 58 | Mazraa | Parc | ![]() |
| 59 | Mazraa | El Aamiliye | ![]() |
| 61 | Achrafieh | Furn El Hayek | ![]() |
| 62 | Achrafieh | Nasra | ![]() |
| 63 | Achrafieh | Achrafieh | ![]() |
| 65 | Achrafieh | Mar Mitr | ![]() |
| 66 | Achrafieh | Palais de Justice | ![]() |
| 72 | Medawar | Rmeil | ![]() |
| 73 | Rmeil | Al Hikmat | ![]() |
| 74 | Rmeil | Hopital Orthodoxe | ![]() |
| 75 | Medawar | Mar Mikhael | ![]() |
| 76 | Medawar | Khodr | ![]() |
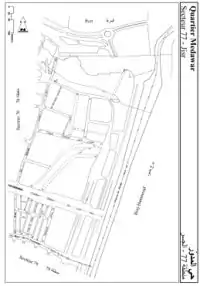
| 77 | Medawar | Jisr | ![]() |
| 78 | Rmeil | Getawi | ![]() |
| 79 | Rmeil | Qobaiyat | ![]() |
This article is issued from Openstreetmap. The text is licensed under Creative Commons - Attribution - Sharealike. Additional terms may apply for the media files.



















































