The Wertachtal transmitter site (German: Kurzwellensendeanlage Wertachtal) in Bavaria, Germany, was from 1972 to 2013 the biggest shortwave broadcasting facility in Europe. It was located in the valley of the Wertach River near the village of Amberg (Swabia), and was originally operated by Deutsche Bundespost, and later by Media Broadcast GmbH. Before the site was closed, it included 14 500 kW radio transmitters and two 100 kW radio transmitters. It was built in 1969 and demolished in 2014.
Location
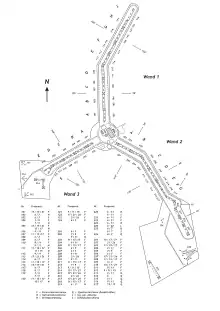
The transmitters and more than 85% of the antennas were located on the territory of the village of Amberg, and the rest of the antennas in Langerringen, in the Wertach valley.
Technical data

In 2008, there were 14 transmitters of 500 kW each and two transmitters of 100 kW. The antennas used by the transmitters were very large; the 68 antennas were supported by rows of towers, the largest of them 125 metres (410 ft) high and with foundations 12 metres (39 ft) deep. There were 34 towers in all, constructed from 4,200 tonnes (4,100 long tons; 4,600 short tons)of steel. At night, the towers were illuminated and could be seen from a distance of 20 kilometres (12 mi) The three rows of antennas were 1 kilometre (0.62 mi), 1.3 kilometres (0.81 mi) and 1.9 kilometres (1.2 mi) long.[1] Two 110 kV electrical power lines supplied power. The site used about 20 MW of power.
History
After German shortwave broadcaster Deutsche Welle was founded in 1953, the Jülich radio transmitter was built in 1956 to transit shortwave radio broadcasts. In preparation for the 1972 Summer Olympics at Munich, Deutsche Welle decided to build a new transmitter site because the nine 100 kW transmitters in Jülich were too small. Construction began in 1969 on a 200 hectares (490 acres) near Amberg. The transmitters were supplied by AEG-Telefunken and the antennas by Brown, Boveri & Cie. About 600 people worked to build the site. By September 1971, six out of 25 towers had been completed, with heights reading to 125 m. They held the first antennas, directed towards North America and the Near East. The same year, the first three 500 kW transmitters were installed by AEG-Telefunken. Five transmitters needed to be installed before the beginning of the Summer Olympics. Test transmissions began on 10 April 1970 using the 500 kW transmitters; they stopped at the beginning of the Olympics. One of the four transmitters was used to transmit the Olympic program ARD-Olympiawelle on 5995 kHz while the others were used for foreign-language broadcasts. After the Olympics finished, the site was used by Germany's national shortwave broadcaster Deutsche Welle. In the following years until 2012, additional 500 kW transmitters were installed, also supplied by AEG-Telefunken.
Starting in 1987, foreign broadcasters also used the Wertachtal site, including Voice of America, Radio Canada International and Radio Nederland Wereldomroep. Since Voice of America wanted a long-term lease on the transmitters, new antennas were installed replacing the old ones. On 31 December 1995, Voice of America stopped broadcasting from Wertachtal, and Deutsche Welle decided to move its transmissions from the site in Jülich to Wertachtal and Nauen (Brandebourg). For this, a new quadrant-antenna was installed for transmissions to Europe.

Other broadcasters using the site included Adventist World Radio from 1996, et Family Radio from 2001.
In 2003 a new design transmitter was installed that could operate at 500 kW in conventional (AM ) or 200 kW in Digital Radio Mondiale (DRM), a new broadcasting standard. This was a joint venture of T-Systems, Telefunken Sendertechnik (which became TRANSRADIO Sendersysteme Berlin, which no longer exists), and of RIZ Zagreb. At the end of 2006, Deutsche Welle discontinued its transmissions from Wertachtal, and moved them to a site at Woofferton in England. On 15 January 2008, the Wertachtal transmitter site was sold to Media Broadcast GmbH. In April 2013, all but four broadcasts (some religious stations were the exceptions) were transferred to the Nauen transmitter site, which was then at full capacity, with 60 broadcasts per day. [2] [3] On 1 May 2013, the remaining broadcasts were transferred to Nauen, but the Wertachtal centre remained in working order.
Antenna assembly


The antennas are set as a three-pointed star. Bank-1 to the north, length of 1.3 kilometres (0.81 mi), bank-2 with 1.9 kilometres (1.2 mi) to the south-east and bank-3 with 1 kilometre (0.62 mi) to the south-west. The longest connection to one of the antennas was 1.9 kilometres (1.2 mi). Total lengths of all coaxial-cable connections was 53 kilometres (33 mi).
During first expansion stage there were 52 antennas for long-distance transmission (24 of them for 3-band and 28 for 2-band use) so as 11 lines of dipoles as 2-band-antennas for short-distance transmission. In final state there were built up 67 antennas. All antennas were equipped with pivoting (or slewing) switches to tilt the main antenna-beam to +/- 5, 15 or 30 degrees. The antennas were furnished by German affiliate of Swiss BBC (today Ampegon) at Mannheim.
To fulfill the necessity to connect any of the 16 transmitters to any of the 67 antennas, a cross-point switching matrix of 8 metres (26 ft) height with more than 1.000 elements was built up.
In addition to the curtain-antennas primarily existed five log-periodic antennas with horizontal polarization, consisting in two radiators with 26 dipoles each, built up side by side. The main beam could be tilt to +/- 20 degrees by pivoting (or slewing) switches. They were furnished by Telefunken. These antennas were used for destinations up to 2,000 kilometres (1,200 mi).
As omnidirectional antennas for shorter distances (central Europe) six quadrant antennas were mounted, each usable for two proximate frequencies. In the middle of the 80s the antenna-set was changed due to the intention of Voice of America to intensify transmitting in direction of Eastern Europe (in political meaning) and to North Africa. All but one (No 224) of the log-periodic antennas were removed. At their place another four curtain-antennas with main beam to 60° and operating distance between 1,000 kilometres (620 mi) and 2,000 kilometres (1,200 mi) were built instead.
The antennas, their frequencies and directions at final state
Bank 1, Nord
| Place | No | Frequencies (MHz) |
Mode | Azimuth | Destination | Form |
|---|---|---|---|---|---|---|
| A | 101 | 15/17/21 | F | 270° | Northern South America, The Caribbean | HRS 4/4 |
| A | 102 | 6/7 | N | 90° | Caucasus Area | HRS 4/1 |
| B | 103 | 6/7 | F | 270° | Northern South America, The Caribbean | HRS 4/4 |
| B | 104 | 7/9 | F | 90° | India, South Eastern Asia, Australia | HRS 4/5 |
| B | 104 | 7/9 | N | 90° | Caucasus Area | HRS 4/1 |
| B | 105 | 15/17/21 | F | 90° | India, South Eastern Asia, Australia | HRS 4/4 |
| B | 105 | 15/17 | N | 90° | Caucasus Area | HRS 4/1 |
| C | 106 | 9/11 | F | 90° | India, South Eastern Asia, Australia | HRS 4/4 |
| C | 107 | 11/15/17 | F | 270° | Northern South America, The Caribbean | HRS 4/4 |
| C | 108 | 6/7 | F | 90° | India, South Eastern Asia, Australia | HRS 4/4 |
| D | 109 | 9/11 | F | 270° | Northern South America, The Caribbean | HRS 4/4 |
| D | 110 | 9/11 | F | 90° | India, South Eastern Asia, Australia | HRS 4/4 |
| D | 110 | 9/11 | N | 90° | Caucasus Area | HRS 4/1 |
| D | 111 | 11/15/17 | F | 90° | India, South Eastern Asia, Australia | HRS 4/4 |
| D | 111 | 11/15 | N | 90° | Caucasus Area | HRS 4/1 |
| E | 112 | 9/11 | F | 300° | Eastern North America, Mexico | HRS 4/4 |
| E | 113 | 17/21/26 | F | 300° | Eastern North America, Mexico | HRS 4/4 |
| E | 114 | 6/7 | F | 120° | The Balkans, Eastern Mediterranean Area | HRS 4/4 |
| F | 115 | 11/15/17 | F | 300° | Eastern North America, Mexico | HRS 4/4 |
| F | 116 | 15/17/21 | F | 300° | Eastern North America, Mexico | HRS 4/4 |
| F | 117 | 6/7 | F | 120° | The Balkans, Eastern Mediterranean Area | HRS 4/4 |
| G | 118 | 6/7 | F | 300° | Eastern North America, Mexico | HRS 4/4 |
| G | 119 | 7/9 | F | 120° | The Balkans, Eastern Mediterranean Area | HRS 4/4 |
| G | 119 | 7/9 | N | 120° | The Balkan Area | HRS 4/1 |
| G | 120 | 11/15/17 | F | 120° | The Balkans, Eastern Mediterranean Area | HRS 4/4 |
| G | 120 | 15/17 | N | 120° | The Balkan Area | HRS 4/1 |
| H | 121 | 9/11/15 | F | 300° | Eastern North America, Mexico | HRS 4/4 |
| H | 122 | 17/21/26 | F | 120° | The Balkans, Eastern Mediterranean Area | HRS 4/4 |
| H | 123 | 21/26 | F | 120° | The Balkans, Eastern Mediterranean Area | HRS 4/4 |
| J | 124 | 6/7 | F | 120° | The Balkans, Eastern Mediterranean Area | HRS 4/4 |
Bank 2, South-East
| Place | No | Frequencies (MHz) |
Mode | Azimuth | Destination | Form |
|---|---|---|---|---|---|---|
| A | 201 | 6/7 | F | 210° | Western Africa | HRS 4/4 |
| A | 202 | 7/9 | F | 30° | China, Pacific | HRS 4/4 |
| A | 202 | 9/11 | N | 30° | Southern Russia, China | HRS 4/1 |
| A | 203 | 11/15/17 | F | 30° | China, Pacific | HRS 4/4 |
| B | 204 | 9/11 | F | 210° | Western Africa | HRS 4/4 |
| B | 205 | 11/15/17 | F | 210° | Western Africa | HRS 4/4 |
| B | 206 | 6/7 | F | 30° | China, Pacific | HRS 4/4 |
| C | 207 | 6/7 | F | 240° | South America | HRS 4/4 |
| C | 208 | 9/11 | F | 60° | Eastern Europe, Russia, China | HRS 4/4 |
| C | 209 | 21/26 | F | 60° | Eastern Europe, Russia, China | HRS 4/4 |
| D | 210 | 9/11 | F | 240° | South America | HRS 4/4 |
| D | 211 | 11/15/17 | F | 240° | South America | HRS 4/4 |
| D | 212 | 7/9 | F | 60° | Eastern Europe, Russia, China | HRS 4/4 |
| E | 213 | 9/11/15 | F | 240° | South America | HRS 4/4 |
| E | 214 | 15/17/21 | F | 60° | Eastern Europe, Russia, China | HRS 4/4 |
| E | 215 | 17/21/26 | F | 60° | Eastern Europe, Russia, China | HRS 4/4 |
| F | 216 | 21/26 | F | 240° | South America | HRS 4/4 |
| F | 217 | 17/21/26 | F | 240° | South America | HRS 4/4 |
| F | 218 | 11/15/17 | F | 60° | Eastern Europe, Russia, China | HRS 4/4 |
| G | 219 | 6 - 11 | N | 45° | European Russia | HRS 4/1 |
| x | 220 | 6 - 11 | B | 75° | Central Asia, Southern Russia | HRS 2/2 |
| x | 220 | 6 - 11 | S | 75° | Central Asia, Southern Russia | HRS 4/2 |
| x | 221 | 6 - 11 | F | 60° | Eastern Europe, Russia | HRS 2/4 |
| x | 222 | 6 - 11 | F | 60° | Eastern Europe, Russia | HRS 2/4 |
| x | 223 | 6 - 11 | N | 60° | Eastern Europe, Russia | HRS 2/2 |
| x | 224 | 6 - 22 | L | 60° | Eastern Europe, Russia | LogPer |
| x | 225 | 6/7 | B | 60° | Eastern Europe, Russia | HRS 2/2 |
| x | 225 | 6/7 | S | 60° | Eastern Europe, Russia | HRS 4/2 |
| x | 226 | 6/7 | Q | ND | MittelCentral Europe | Quadrant |
Bank 3, South-West
| Place | No | Frequencies (MHz) |
Mode | Azimuth | Destination | Form |
|---|---|---|---|---|---|---|
| A | 301 | 15/17/21 | F | 330° | Western North America | HRS 4/4 |
| A | 302 | 21/26 | F | 150° | East and South Africa | HRS 4/4 |
| B | 303 | 11/15/17 | F | 330° | Western North America | HRS 4/4 |
| B | 304 | 9/11 | F | 330° | Western North America | HRS 4/4 |
| B | 305 | 7/9 | F | 150° | East and South Africa | HRS 4/4 |
| C | 306 | 6/7 | F | 330° | Western North America | HRS 4/4 |
| C | 307 | 17/21/26 | F | 150° | East and South Africa | HRS 4/4 |
| C | 308 | 11/15/21 | F | 150° | East and South Africa | HRS 4/4 |
| D | 309 | 6/7 | F | 330° | Western North America | HRS 4/4 |
| D | 310 | 15/17/21 | F | 150° | East and South Africa | HRS 4/4 |
| D | 311 | 9/11 | F | 150° | East and South Africa | HRS 4/4 |
| E | 312 | 9/11/15 | F | 330° | Western North America | HRS 4/4 |
| F | 313 | 9/11 | N | 120° | The Balkan Area | HRS 4/2 |
| x | 314 | 6 | Q | ND | Central Europe | Quadrant |
| x | 315 | 6/7 | Q | ND | Central Europe | Quadrant |
| x | 316 | 9/11 | Q | ND | Central Europe | Quadrant |
| x | 317 | 15/17 | Q | ND | Central Europe | Quadrant |
Description to mode
F = long distance antenna, N = short distance antenna,
Q = quadrant antenna (omnidirectional), L = log-periodic antenna,
B = horizontal wide beam (about 45°), S = horizontal narrow beam (about 30°)
The end of broadcasting
In early 2014, it was rumored that the Wertachtal site was going to be completely destroyed by May 2014.[4] The newest transmitter, installed in 2003, was dismantled and reinstalled at transmitter site in Nauen, where it was used with a rotatable antenna installed in 1964. Some other equipment was bought by Austrian broadcaster Österreichische Rundfunksender GmbH for its site at Moosbrunn. Anything that couldn't be sold was scrapped.[4] At the end of November 2014, the last pillars of the site were removed. In 2015, scrap metal and any remaining equipment were removed.[5] The site is used since 2017 as a solar power station, with a power of 35 MWc.[6]
Curtain antennas in 2008
Remnants of tower foundations, in July 2015
Aerial view of the solar power farm at the site in 2018
Part of the solar power farm in April 2018.
See also
- CKCX, similar technical configuration, operating out of Sackville, New Brunswick, Canada
References
- ↑ Informationsschrift der Deutschen Bundespost Telekom, Fernmeldeamt Augsburg, Januar 1993.
- ↑ Kai Ludwig (2013-06-05). "Transmitter site Wertachtal fully shut down" (in German). Archived from the original on 2013-07-01. Retrieved 2013-07-07.
- ↑ DXaktuell.de (2013-06-08). "Media Broadcast searches for another use for Wertachtal transmitter site" (in German). Archived from the original on July 7, 2013. Retrieved 2013-07-07.
- 1 2 Kai Ludwig (2014-07-16). "Wertachtal transmitter site will be torn down" (in German). RadioEins.de. Retrieved 2019-03-24.
- ↑ Allgäuer Zeitung (2014-12-15). "Souvenir of Wertachtal transmitter site" (in German). www.all-in.de. Retrieved 2019-07-02.
- ↑ Alf Geiger (2017-01-12). "Ettringen transmits opposition to solar power farm" (in German). Augsburger Allgemeine/ Ettringen.info. Retrieved 2019-07-03.
External links
- "The former operator of the site : Media Broadcast GmbH" (in German).
- Augsburger Allgemeine (2014-11-11). "Dismanteling of antennas from Wertachtal transmitter site in Bavaria". Retrieved 2022-03-12.
- Walter Brummer (2014-11-30). "The radio transmitters of Wertachtal in Bavaria: an obituary" (in German). Retrieved 2019-03-20.
- "Listen to the historic interval signal of Deutsche Welle, used on short-wave (before 1984)". Archived from the original on 2018-08-29. Retrieved 2019-08-03.
- This article was partly or entirely translated from the corresponding article in the German Wikipedia titled "Kurzwellensendeanlage Wertachtal " .
